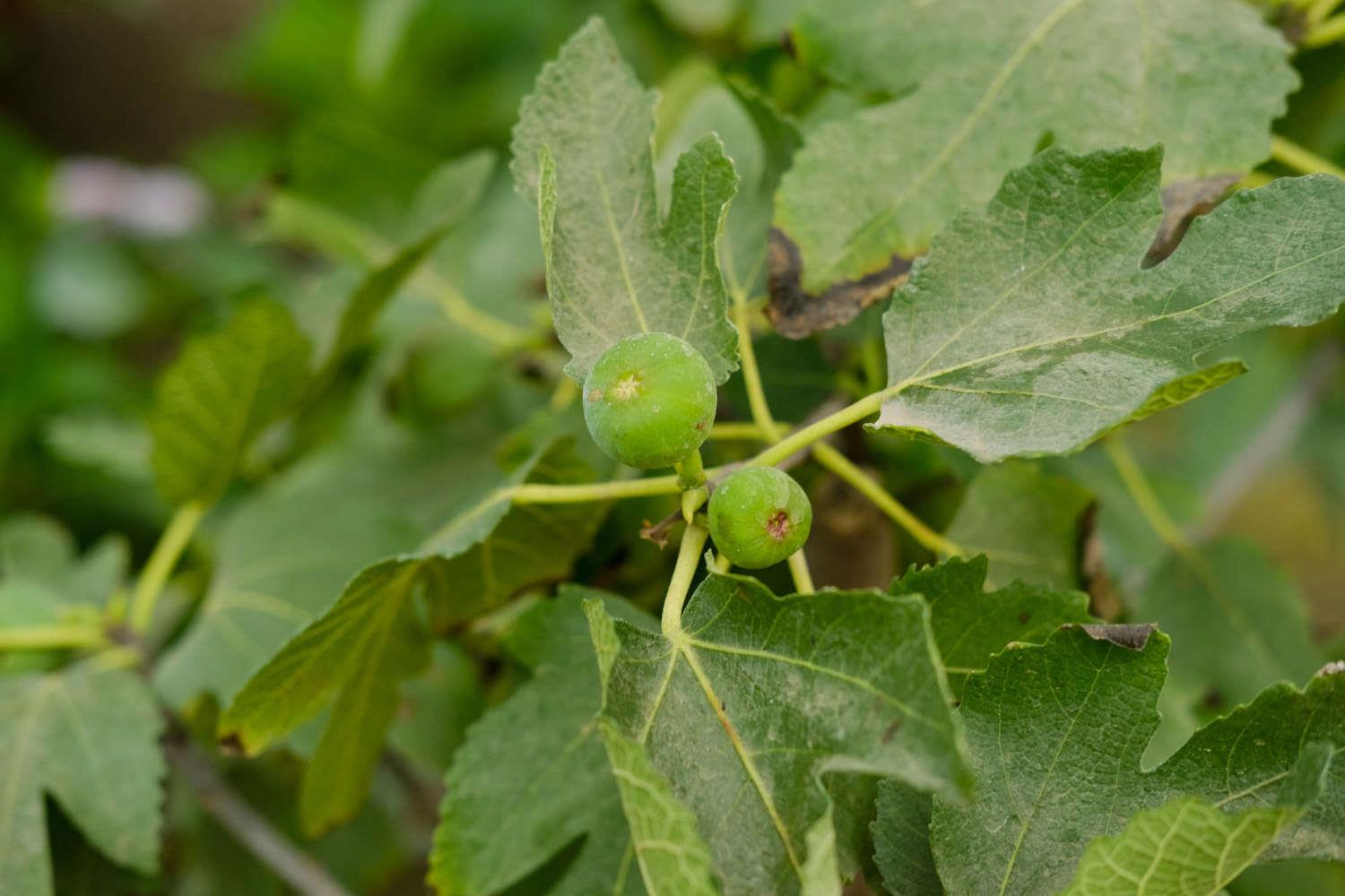
无花果什么季节扦插最好(附扦插方法)
无花果什么季节扦插最好(附扦插方法)
一、扦插季节
它的扦插不太挑时间,四季都可以,但最好是在春季末,这时的扦插更利于成活,而且对后期的生长也有利。插后保持湿润的环境,大概一个月左右的时间就能发芽成活。

二、扦插方法
1、处理枝条:扦插时选用生长一年或者两年的枝条当做插条,都剪成15厘米长的小段,还要确保上面有两三个芽。然后把插条上端剪成平口,下端剪成斜口,这样不仅方便分辨,还对生根有利。
2、浸泡枝条:把修剪好的插条放在盛有水的容器中,大概浸泡12到24小时,要注意水质要清洁。泡好后放在阴凉处晾干备用。

3、准备土壤:扦插时土壤可以用营养土,只要保证疏松透气就可以。
4、进行扦插:扦插时将斜口朝下,插入的不要太深,大概是插条的三分之一就行。插好后适量浇水并盖一层稀薄的土,最好能在土壤上方再盖上草,充分保湿,不久就可以生根发芽。

-
- 蒜苗的成长过程日记
-
2026-04-19 07:14:23
-
- 离婚必须要经过双方同意吗
-
2026-04-19 00:56:15
-
- 当年很红的泰国“水果西施”,长相精致身材火辣,现在怎么样了?
-
2026-04-19 00:54:01
-
- 唇釉与口红区别是什么
-
2026-04-19 00:51:46
-
- 95121是什么电话(经常接到95开头的骚扰电话怎么办?)
-
2026-04-19 00:49:32
-
- 这么正确的挽救婚姻
-
2026-04-19 00:47:18
-
- 现在找女朋友的途径有什么
-
2026-04-19 00:45:03
-
- 酷睿i5处理器与i7处理器的具体区别在哪(英特尔酷睿出8代啦?)
-
2026-04-19 00:42:49
-
- 黑叶芋怎么养
-
2026-04-19 00:40:35
-
- 国庆节给女朋友买什么礼物比较好
-
2026-04-19 00:38:21
-
- 早上女孩说困了该怎么回复,女生早上说困怎么回复高情商
-
2026-04-19 00:36:06
-
- 永远的王!比利王意外去世享年48岁 愿王在天堂可以继续摔跤
-
2026-04-18 21:33:45
-
- 为什么我有车有房还是找不到女朋友
-
2026-04-18 21:31:30
-
- 失去她的原因和如何挽回老婆,让你们的爱情更坚固
-
2026-04-18 21:29:16
-
- 洛阳白草坡出了个“许三多”
-
2026-04-18 21:27:02
-
- 夫妻感情破裂的10个征兆有哪些?
-
2026-04-18 21:24:47
-
- 分手了怎么正确的挽回应该怎么做
-
2026-04-18 21:22:33
-
- 分手后最感人挽回信
-
2026-04-18 21:20:19
-
- 大渡河上的金口大峡谷,中国最美十大大峡谷之一,永恒带你去瞧瞧
-
2026-04-18 21:18:04
-
- 相亲女说她是慢热型,男生该怎么办?
-
2026-04-18 21:15:50



李小龙究竟有多厉害?创造9项世界纪录,至今没人能挑战成功
伊朗地理位置及自然资源